Negozio in Affitto a Milano
5
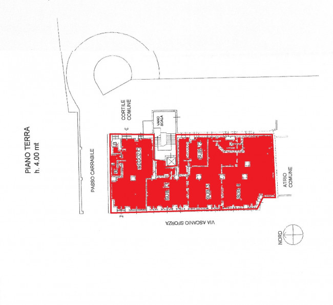
2 Via Ascanio Sforza, proponiamo in locazione immobile commerciale, di circa 260 metri quadrati totali, dotato di 10 vetrine su strada.
Lo stato di conservazione è da ripulire, ma il taglio interno offre molteplici possibilità di allestimento e personalizzazione dello spazio a diverse attività.
Inoltre, la presenza di una comoda cucina (già attrezzata con canna fumaria) rende l'immobile adatto a ristoranti/bar e carie attività di ristorazione.
Completano la proprietà diverse cantine e magazzini, utili per lo stoccaggio e la gestione del materiale.
Il riscaldamento è autonomo e alimentato a gasolio, garantendo un ottimo comfort in ogni stagione.
L'immobile si trova al piano terra di un edificio di 6 piani con accesso diretto dal piano strada, offrendo un facile accesso e una maggiore comodità per i clienti.
Non perdere l'opportunità di aprire il tuo Negozio in una delle zone più frequentate e dinamiche di Milano, contattaci per maggiori informazioni e per organizzare una visita. Il contesto in cui è inserito il Negozio è molto vivace e ben servito da mezzi pubblici.
Vuoi ricevere maggiori informazioni su questo immobile?
Contattaci subito compilando il modulo sottostante!



